Petco Text Logo
Petco Pet Logo

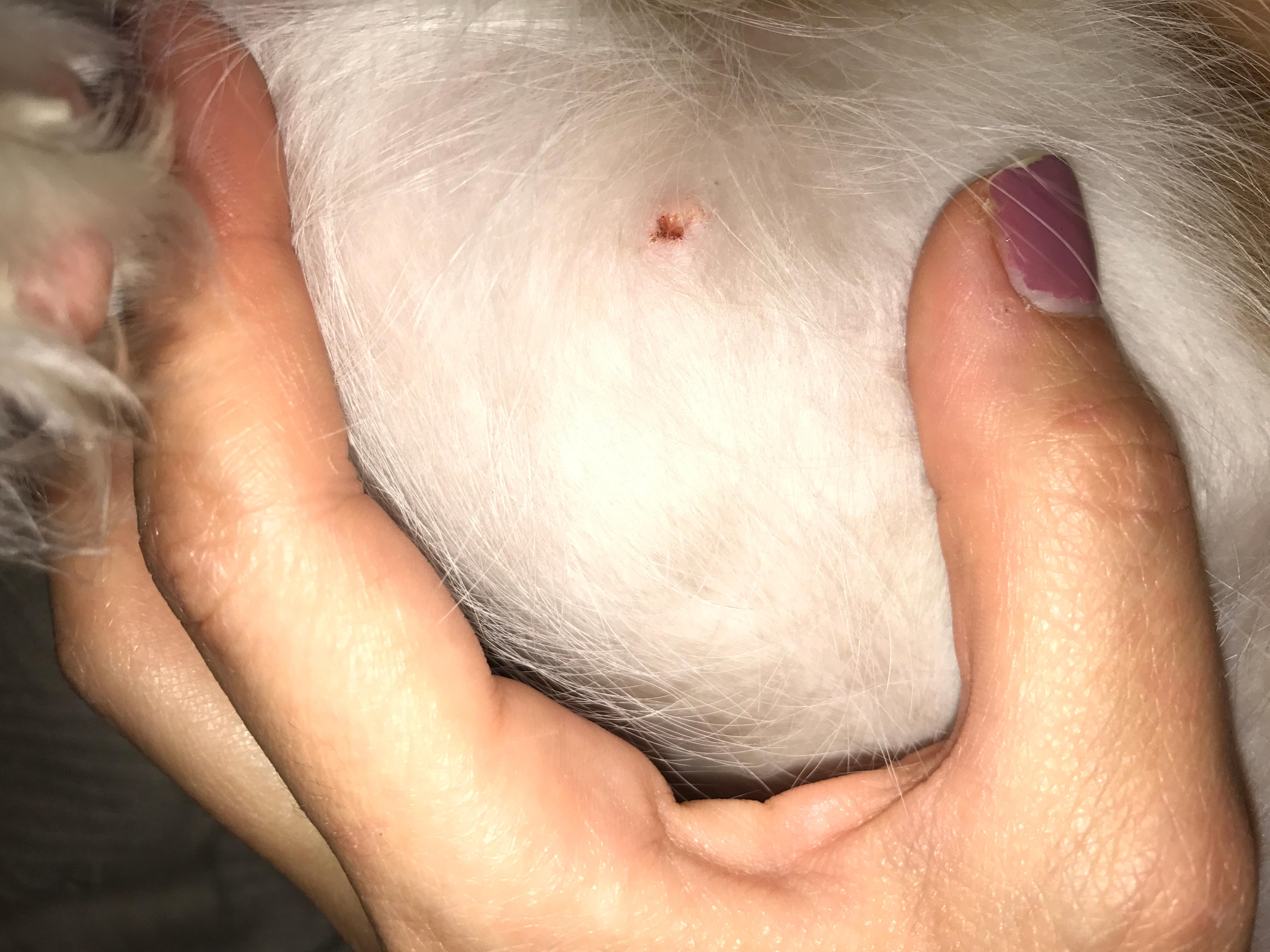
Puppy has tiny red mark on chest/belly, not bleeding. What is it?

Updated On September 23rd, 2025

Pet's info: Dog | Cavalier King Charles Spaniel | Male | 7 lbs

My puppy looks like he has a tiny red scratch or cut on his chest / belly area. Potentially a nipple. Not bleeding. Puppy is behaving normally. Thoughts?

This question includes photos that may contain sensitive content. Click to view.

View more to consider that the photos may include sensitive content.

1 Answer

Most Helpful Answer

Image profile

Answered By Jenny, DVM

Veterinarian

Published on September 19th, 2017

Since he is acting normal, you can clean the area with soap and water then apply neosporin. It seems small enough to form a scab and heal on its own but if you notice any swelling or bruising or a change in appetite then I would have him checked

Vote icon

3Pet Parents found this answer helpful

image
Have A Vet Question?

Book an appointment with the pros – our expert vets are here to help.

Sponsored