Petco Text Logo
Petco Pet Logo

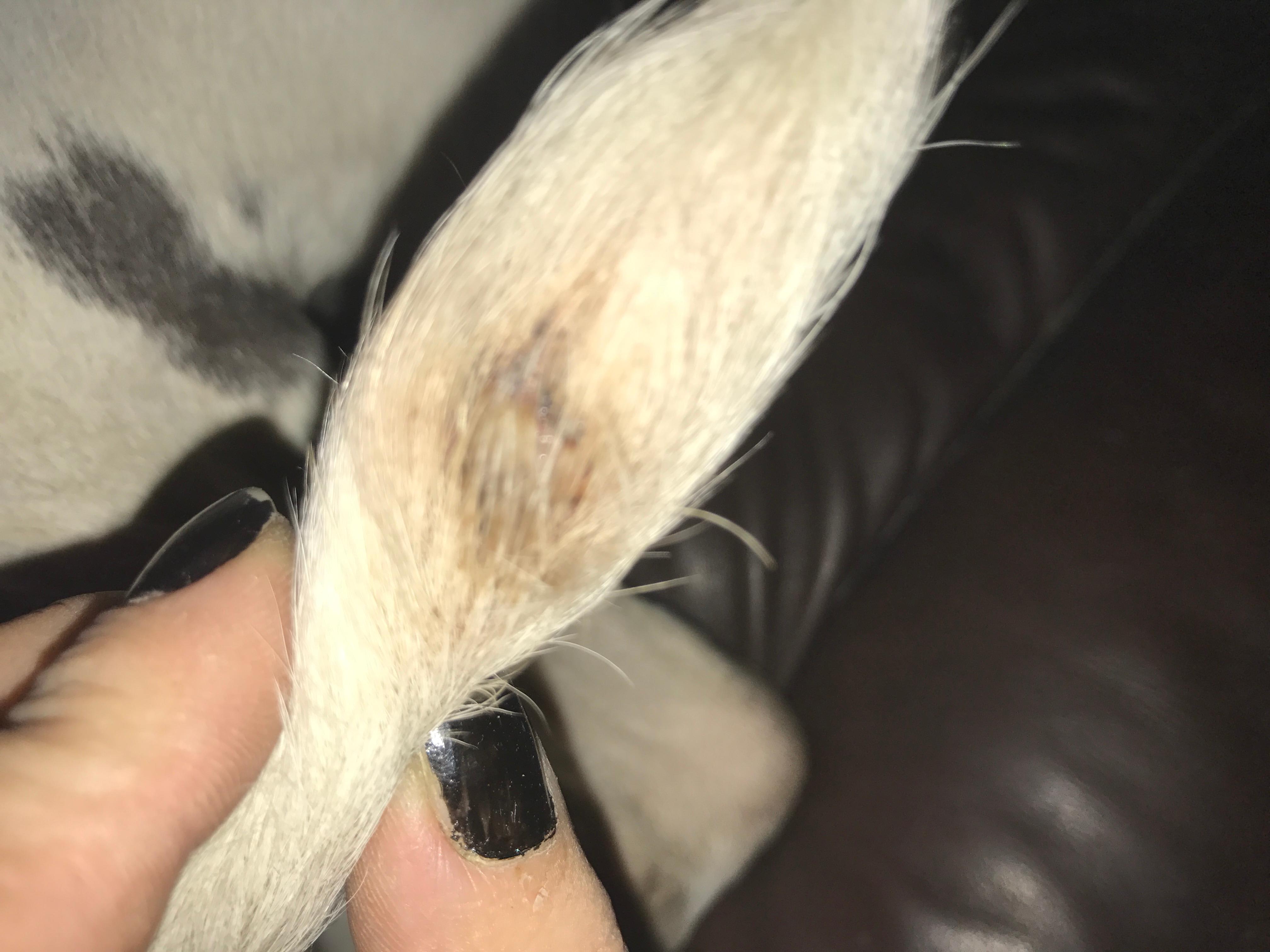
My dog has liquid-filled bumps that burst and bleed. What are they?

Updated On September 23rd, 2025

Pet's info: Dog | Great Dane | Female | unspayed | 7 years and 8 months old | 109 lbs

I have a harlequin Great Dane, she is 8 years old and we have just noticed she has circular raised white bums that look like they are filled with liquid, one on the back of her neck and a couple on the end of her tail, when she bashed her tail one burst and bleed a lot! That's how and when we noticed them! Can't see anymore but want to know what you think please?

This question includes photos that may contain sensitive content. Click to view.

View more to consider that the photos may include sensitive content.

1 Answer

Most Helpful Answer

Image profile

Answered By Stephanie Echols, DVM

Veterinarian

Published on September 17th, 2017

Thanks for using Petco Pet Education Center, formerly Petcoach! Without seeing the bumps it is hard to tell (the pictures don't do them justice). It sounds like they could be pockets of infections. But they could also be cysts (pockets of fluid). I would recommend cleaning the ones that popped with soap and water then seeing a vet tomorrow to look at them. They may need to stick a needle in the bump and look at the cells under a microscope to determine what they are. This will also help determine the treatment plan. Good luck and kisses to Kayla!

Vote icon

1Pet Parents found this answer helpful

image
Have A Vet Question?

Book an appointment with the pros – our expert vets are here to help.

Sponsored