Petco Text Logo
Petco Pet Logo

Why is my dog's healed hot spot still bruised and sensitive?

Updated On September 23rd, 2025

Pet's info: Dog | Mixed Breed Medium (23 - 60lb) | Female | spayed | 6 years and 1 month old | 31 lbs

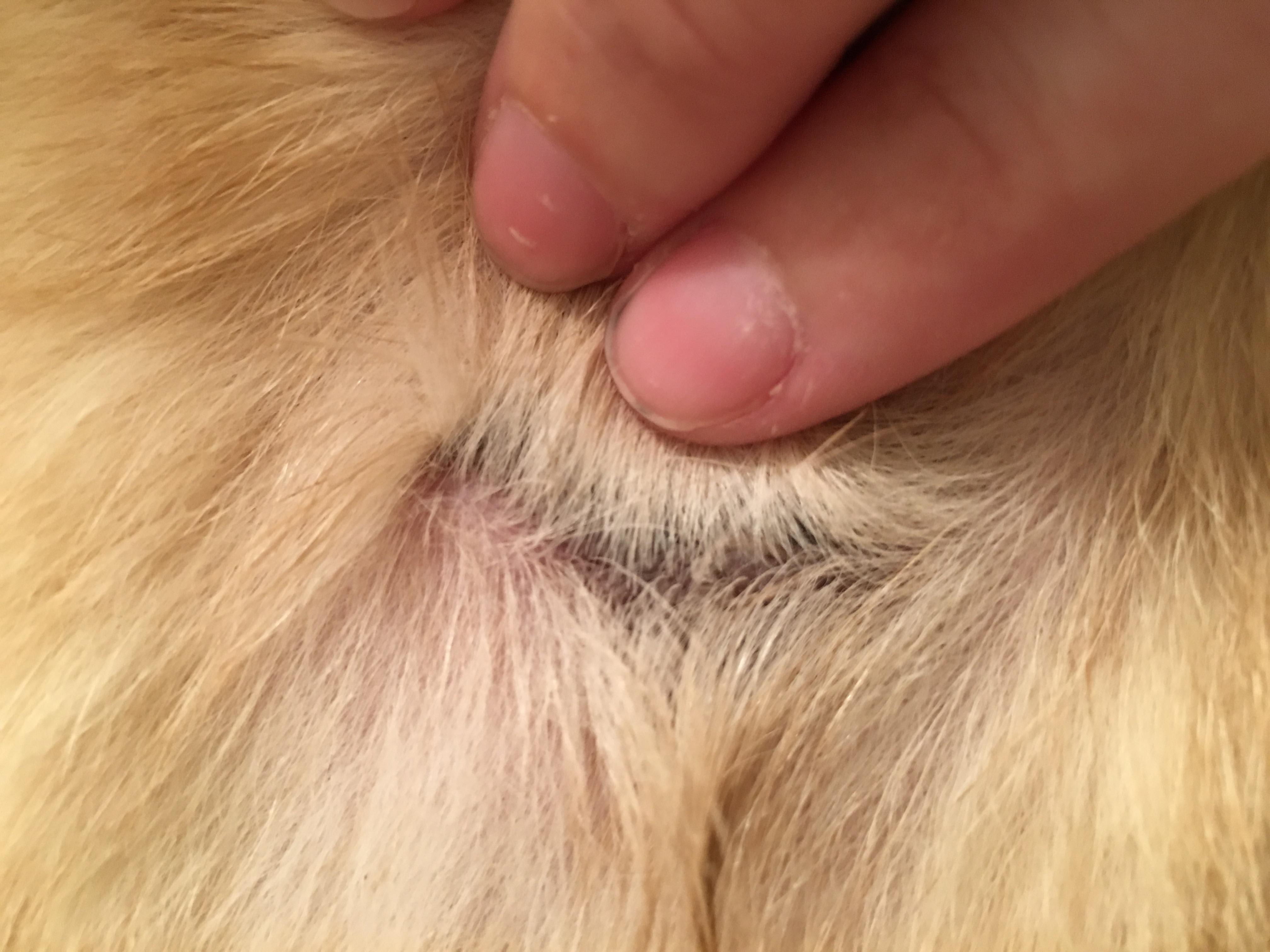
My 6yo mixed blonde breed had her first ever hot spot 3 months ago. That I treated with a steroid topic given by my vet. The site has since healed but it still looks really bruised in that spot. And it seems to be sensitive to touch on her. Is this normal? Should I get her checked out? Ive never dealt with anything like this before. I've attached the process of healing to see your thoughts

This question includes photos that may contain sensitive content. Click to view.

View more to consider that the photos may include sensitive content.

1 Answer

Most Helpful Answer

Image profile

Answered By Dr. Heidi DVM, CVA, CCRT, CVTP, CVSMT, CVCH

Veterinarian, Certified Veterinary Acupuncturist, Certified Canine Rehabilitation Practitioner

Published on September 7th, 2017

Any type of irritation/inflammation can cause the skin to be darker in color when it heals. You can see that in the second picture. It is not abnormal for the darker color in the skin to last for a while, but it almost appears that the skin in the last picture is darker than the second (which might just be an artifical aspect of the picture). The skin appears to have healed well, so if the dark area is just taking a while to resolve, it likely isn't anything worry about. If it appears to be enlarging or getting darker however, I would have your vet examine Addison. I hope that helps! Thanks for using Petco Pet Education Center, formerly Petcoach!

Vote icon

1Pet Parents found this answer helpful

image
Have A Vet Question?

Book an appointment with the pros – our expert vets are here to help.

Sponsored