Petco Text Logo
Petco Pet Logo

My senior Puggle has severe itching and sore spots. What can I do?

Updated On September 23rd, 2025

Pet's info: Dog | Mixed Breed Medium (23 - 60lb) | Female | spayed | 12 years and 2 months old

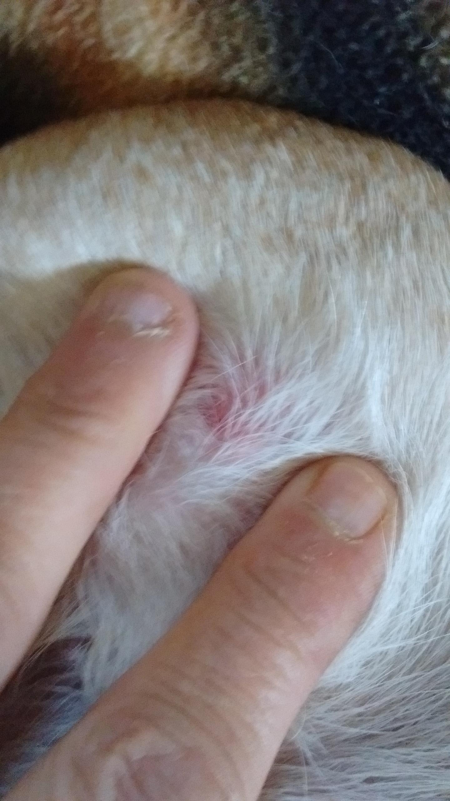
Both of our Puggles have been really itching, biting and scratching themselves the past couple of days. The older of the 2, whose 12, seems to have it worse. There are no fleas or flea dirt as we check a couple of time each day. I've attached a photo of the sore spot that the 12 year old has. We have been giving them Benedryl and started a 5 day steroid as per the vet told us to do in the past, but nothing is helping our older Puggle. We are at a loss as to what to do

This question includes photos that may contain sensitive content. Click to view.

View more to consider that the photos may include sensitive content.

1 Answer

Most Helpful Answer

Image profile

Answered By Jenny, DVM

Veterinarian

Published on September 7th, 2017

A bath in medicated shampoo may help soothe the skin and provide them some relief. Since the older one is suffering more, it maybe worth taking her to your vet to have her thyroid checked. A low thyroid can predispose some to skin infections and problems. They can also provide injections of medicine or a different medicine such as Apoquel that can help treat allergies to provide some relief

Vote icon

1Pet Parents found this answer helpful

image
Have A Vet Question?

Book an appointment with the pros – our expert vets are here to help.

Sponsored