Petco Text Logo
Petco Pet Logo

Why does my Westie have dark spots and bumps on his back and neck?

Updated On September 23rd, 2025

Pet's info: Dog | West Highland White Terrier | Male | neutered | 2 years and 6 months old | 21 lbs

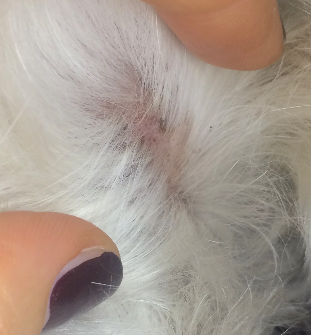
My 2.5 y.o West Highland Terrier has outbreaks of small firm dark spots/bumbs along the middle of his spine and in a separate cluster at the right had side of his neck. He hasn't shown signs of this before. After a week some are fading and some new ones appearing. He's up-to-date with shots and flea/worm tablets. Are these bites or an infestation of some sort ? They crumble off when picked leaving a small red mark. He's not itching them and they don't seem to cause him discomfort.

This question includes photos that may contain sensitive content. Click to view.

View more to consider that the photos may include sensitive content.

1 Answer

Most Helpful Answer

Image profile

Answered By Cara, DVM, cVMA

Veterinarian

Published on September 4th, 2017

It looks like Hamish may have a mild skin infection. The black spots could be scabs or hyperpigmentation, which can happen with any inflammation. Westies have a tendency to have allergies so if he has been scratching at all it could have caused some traumatic that area. If it's not getting better I would have him checked out by your vet to see if he would benefit from any medication. Good luck!

Vote icon

8Pet Parents found this answer helpful

image
Have A Vet Question?

Book an appointment with the pros – our expert vets are here to help.

Sponsored