Petco Text Logo
Petco Pet Logo

My Shih Tzu has sensitive, scabby skin growths. How do I treat them?

Updated On September 23rd, 2025

Pet's info: Dog | Shih Tzu | Female | spayed | 17 lbs

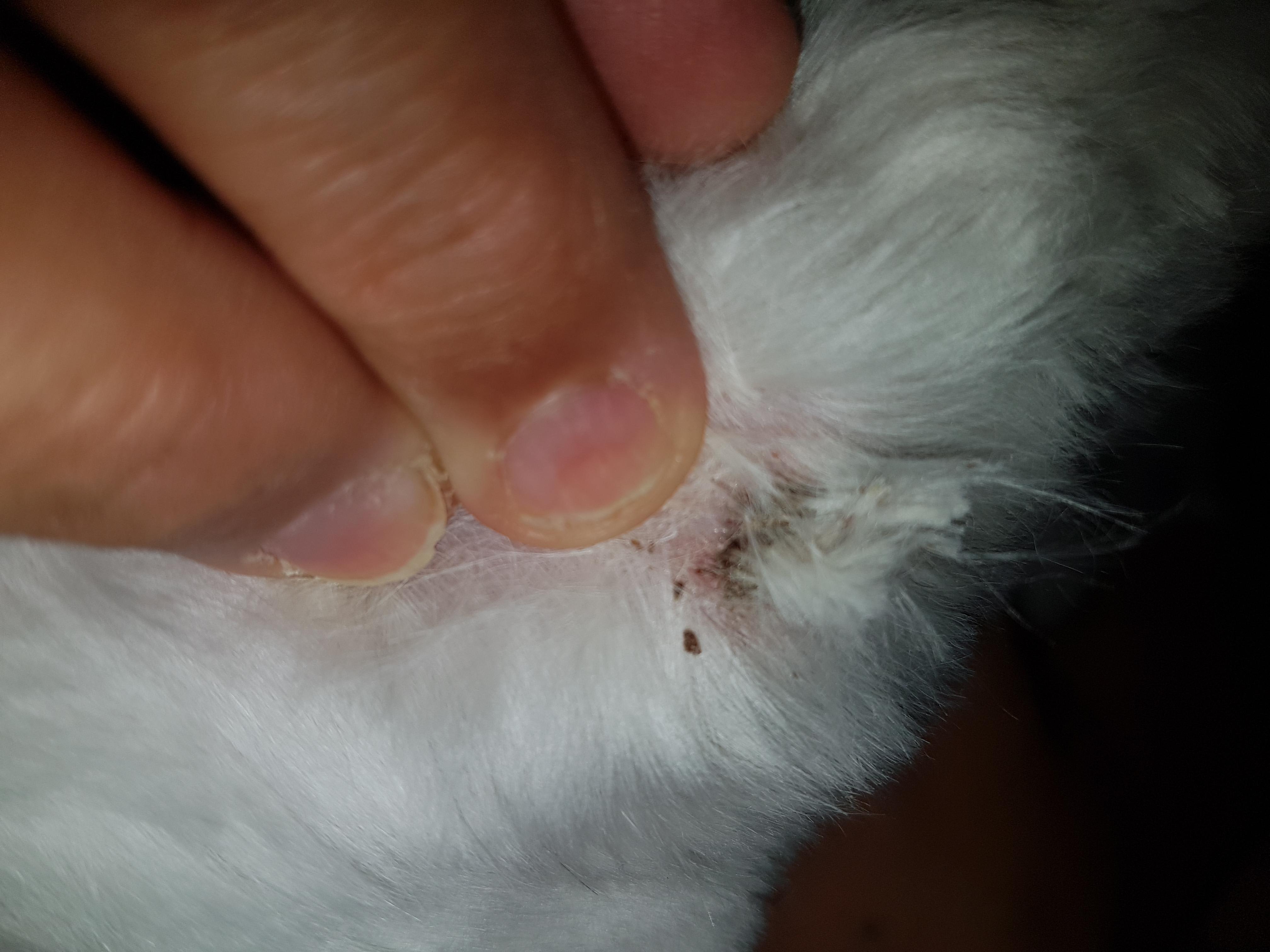
Hi. We would like to know what the skin growths are and how to treat them for our Shih Tzu. She has 2 scabby growths on top of her skin, that when touched some of it break off into tiny scabs and are sensitive to touch them. It looks like matted fur at first until you touch it.

This question includes photos that may contain sensitive content. Click to view.

View more to consider that the photos may include sensitive content.

3 Answers

Most Helpful Answer

Image profile

Answered By Dr. Macartney, BVet Med, MRCVS

Veterinarian

Published on August 24th, 2017

I am so sorry to hear that Zumi is having trouble with her skin. It looks like from the pictures a case of moist dermatitis or "hot spot". Hot spots can be very difficult to heal, and take a long time. The keys to a successful healing process are; Treating underlying cause of itching- for example fleas A clipped area around the sore Cleaning the sore with a vet prescribed antiseptic Leaving the sore open to dry out (as the moisture promotes bacterial growth) Antibacterial/ hydrocortisone spray prescribed from the vet for healing An e-collar to prevent Zumi from scratching or biting at the hot spot and making it worse Measure the hot spot with a ruler, and compare in a few days time to make sure that it is reducing in size. If you feel like Zumi is not healing well, I would suggest a trip to the vet, or call and discuss the possibility for a prescription. Oral antibiotics and/ or a steroid injection may help to jumpstart the healing process. I know hot spots can be very frustrating for you as a pet parent and for Zumi. I sincerely hope it starts to heal soon. Warmest regards to you both.

Vote icon

4Pet Parents found this answer helpful

Other Answers

  • Image profile

    Answered By Lauren Kennedy, DVM

    Veterinarian

    Published on

    It's hard to tell exactly what these are from the pictures but I think they are either scabs/crusts from a skin infection or they could be small skin masses that have broken open and become infected. The best was to tell the difference is to gently clean the area, either in the tub with shampoo or with a cotton ball and hydrogen peroxide. This was you will be able to tell if there is a small mass under the crust. You can try applying some antibiotic ointment to the area and see if that helps it clear up. If that treatment is not successful or you notice new spots popping up, I would recommend you take Zumi into you vet to be checked out. I hope this helps. Thanks for using Petco Pet Education Center, formerly Petcoach. Best of luck.

    Vote icon

    3Pet Parents found this answer helpful

  • Published on

    From the picture unfortunately is a bit difficult to understand exactly the nature of them. This kind of lump/growth needs to be ideally assessed by your veterinarian to have a definitive and specific answer. Usually there are two ways your vet can do that a part from examining it directly during physical examination. A biopsy can be taken under local or general anesthetic, otherwise a smaller sample through a fine needle can be aspirated (this technique is called FNA= fine needle aspiration). Disinfection can eventually be started at home with very diluted hibiscrub or betadine or salted water baths. Differentials include skin cysts, infections, benign or more sinister type of tumors. Please do not hesitate to contact us again on the forum or by requesting a consultation if you have any more questions or to discuss it any further.

    Vote icon

    1Pet Parents found this answer helpful

See More Answers
image
Have A Vet Question?

Book an appointment with the pros – our expert vets are here to help.

Sponsored