Petco Text Logo
Petco Pet Logo

Does my dog's wrist X-ray confirm fracture or hyperextension?

Updated On September 23rd, 2025

Pet's info: Dog | Belgian Malinois | Female | unspayed | 54 lbs

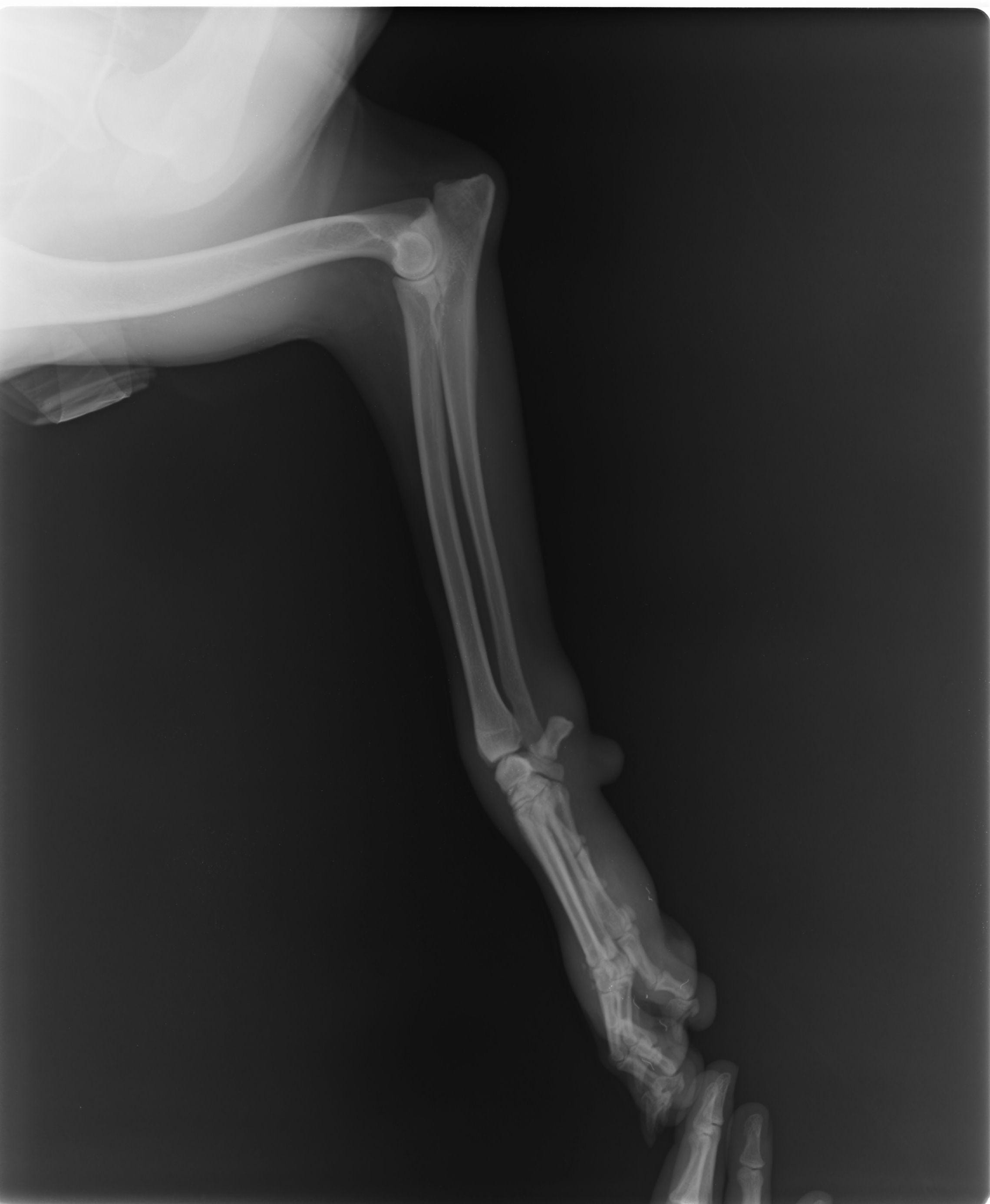
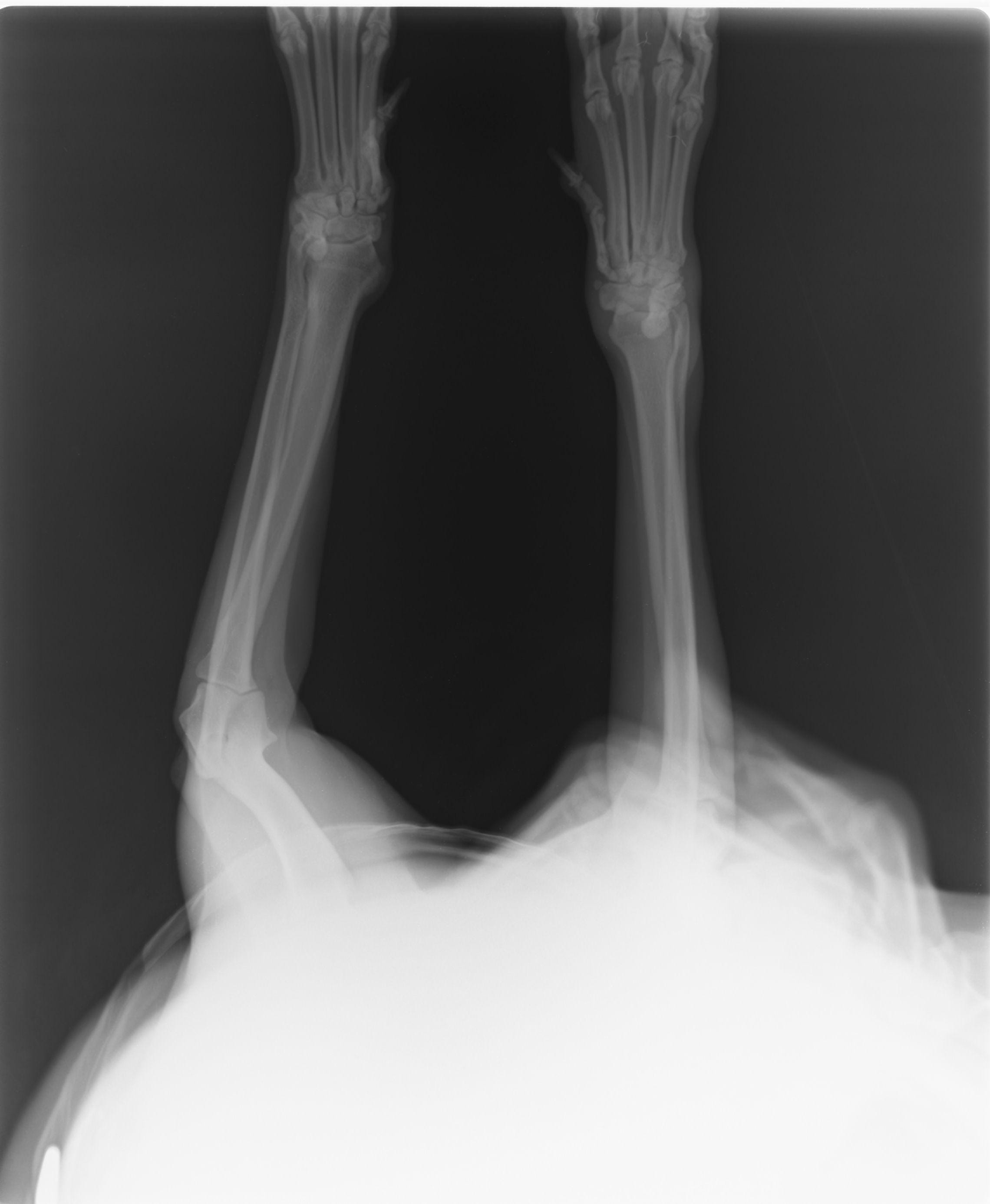
Hi. I live in lebanon and my belgian malinois has hurt her right wrist. I took her to the the 1st vet and he said that the swelling will go away and there was no fracture. I wasnt convinced so i took her to a 2nd vet who said that that there is fracture and he put a cast on her leg. Without a cast she shows signs of carpal hyperextension, but the vet said it isnt the case. From the xray images does it show a fracture, and if it does does it produce symptons of carpal hyperextension? Thanks a lot

This question includes photos that may contain sensitive content. Click to view.

View more to consider that the photos may include sensitive content.

1 Answer

Most Helpful Answer

Image profile

Answered By David Elbeze, DVM, MRCVS

Veterinarian

Published on August 23rd, 2017

It does look like there is fracture on the last phalang of what i assume is the right wrist (it's not indicated on the xray so can't know 100%), i cannot tell if it is causing symptoms of hyperextension from the xray but it was in my opinion the right decision to cast it for it to heal better.

Vote icon

1Pet Parents found this answer helpful

image
Have A Vet Question?

Book an appointment with the pros – our expert vets are here to help.

Sponsored