Petco Text Logo
Petco Pet Logo

My puppy has hip dysplasia. What are my options without surgery?

Updated On September 23rd, 2025

Pet's info: Dog | Cane Corso | Female | unspayed | 60 lbs

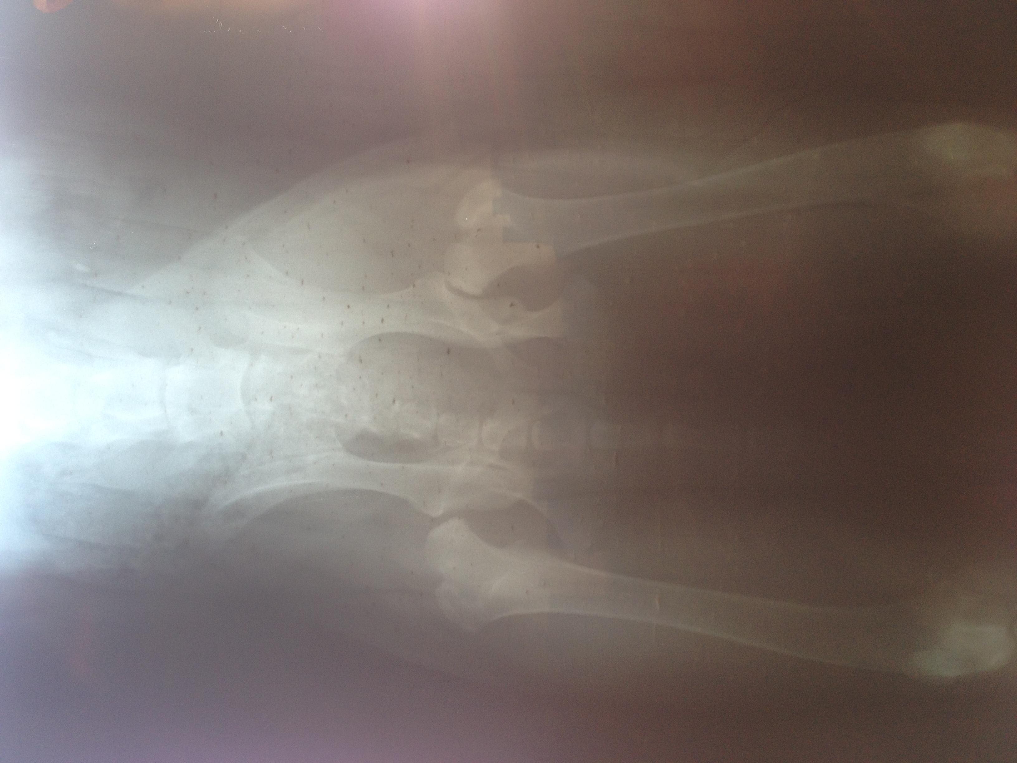
Dear Doctor , I have a puppy 7 month old ,cane Corso (Italian mastiff ) till three month old the way she walking was kind of strange the back legs movement looked awkward ( moving up stairs 5 steps as max ,like a bunny) now as I mentioned she is 7month old &I think she moved with the left back leg 2weeks ago more awkwardly ,so I decided to make her X-Ray and the doctor told me this is Hip dysplisia type E. Question : I can't afford operation ,if I left the dog as it is ,how would it be later?

This question includes photos that may contain sensitive content. Click to view.

View more to consider that the photos may include sensitive content.

1 Answer

Most Helpful Answer

Image profile

Answered By Linda G, MS, DVM

Veterinarian

Published on August 22nd, 2017

Hello, thank you using Petco Pet Education Center, formerly Petcoach. I am so sorry for your concerns about Madiidda. Her x-rays show very severe subluxation of the one hip, & a very shallow acetabulum of the other. This will never get better on its own, & as she ages, she will experience more & more pain possibly to the point where she may no longer be able to walk. A lot has to do with how you manage her growth, weight, exercise/conditioning, and use of joint supplements & pain medications. You may not be able to afford the surgery now, but perhaps in a couple of years, you might be able to. The important thing is to keep her a tad underweight, regular gentle exercise, & start her on a good glucosamine/chondroitin sulfate supplement. Omega fatty acids can be of some benefit in helping the inflammation in her hips. Work closely with your veterinarian about weight control, medications, & possibly even a veterinarian who practices some alternative modalities such as acupuncture & massage therapy. Here in the US, we even have specialists in canine rehabilitation medicine, where underwater treadmills, water therapy, & special balance exercises can all help to strengthen the muscles around the hips to make life better for Madidda. I wish you all the best that she does well. She is a beautiful girl.

Vote icon

4Pet Parents found this answer helpful

image
Have A Vet Question?

Book an appointment with the pros – our expert vets are here to help.

Sponsored