Petco Text Logo
Petco Pet Logo

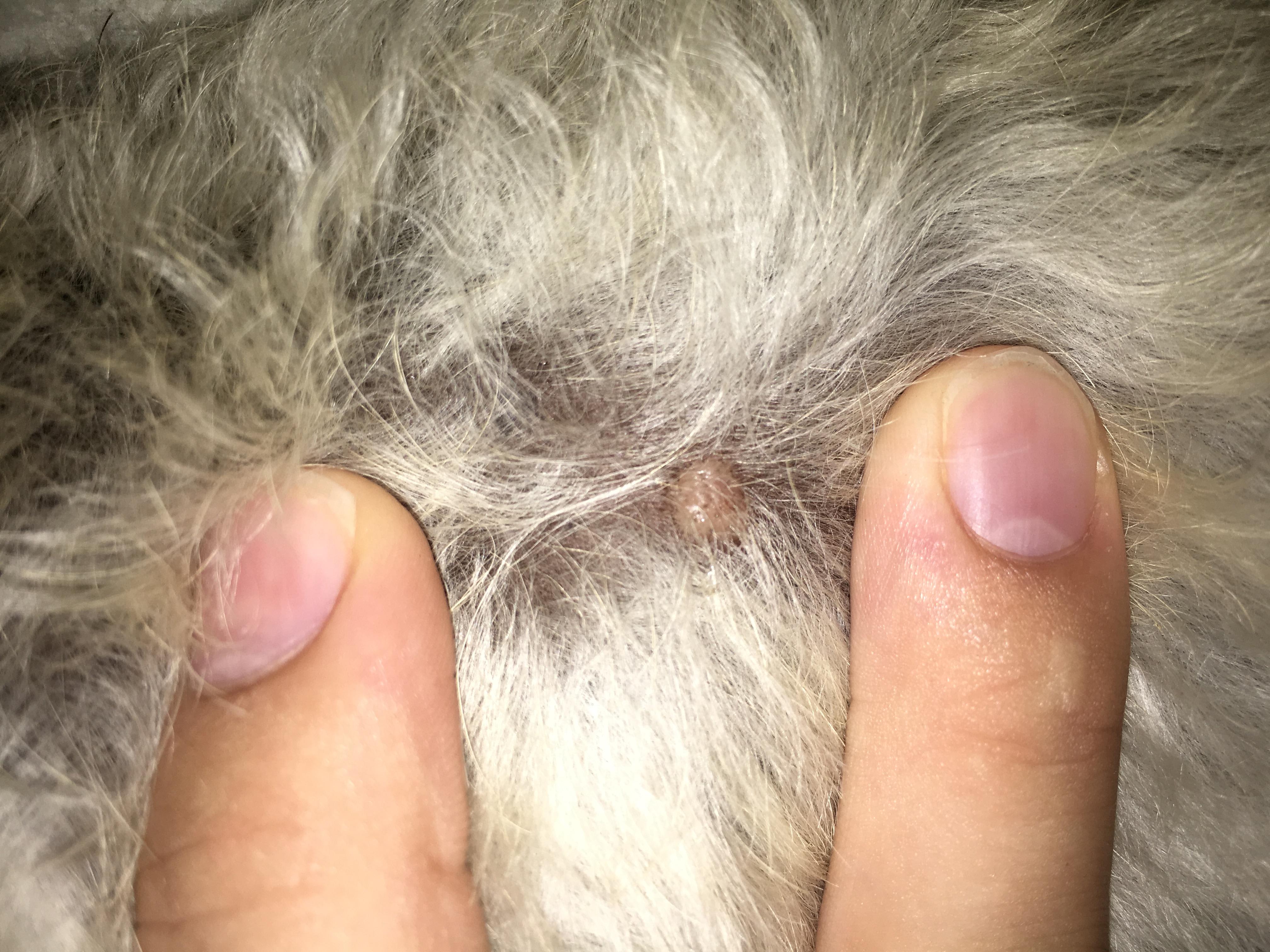
What is this new white raised bump with pus on my dog's back?

Updated On September 23rd, 2025

Pet's info: Dog | Schnoodle | Female | spayed | 5 years and 3 months old | 13 lbs

I was wondering if you had any ideas on this white raised bump that appeared on my dogs back today. Seems to maybe have some pus too?

This question includes photos that may contain sensitive content. Click to view.

View more to consider that the photos may include sensitive content.

1 Answer

Most Helpful Answer

Image profile

Answered By David Elbeze, DVM, MRCVS

Veterinarian

Published on July 27th, 2017

this bump needs to be checked and analysed as there are many conditions and types of tumors that could look like that. take Rosie to the vet, they will perform a fine needle aspiration on the growth and send it to the lab for analysis. when the result comes, the vet will advise what needs to be done according to the diagnosis.

Vote icon

2Pet Parents found this answer helpful

image
Have A Vet Question?

Book an appointment with the pros – our expert vets are here to help.

Sponsored