Petco Text Logo
Petco Pet Logo

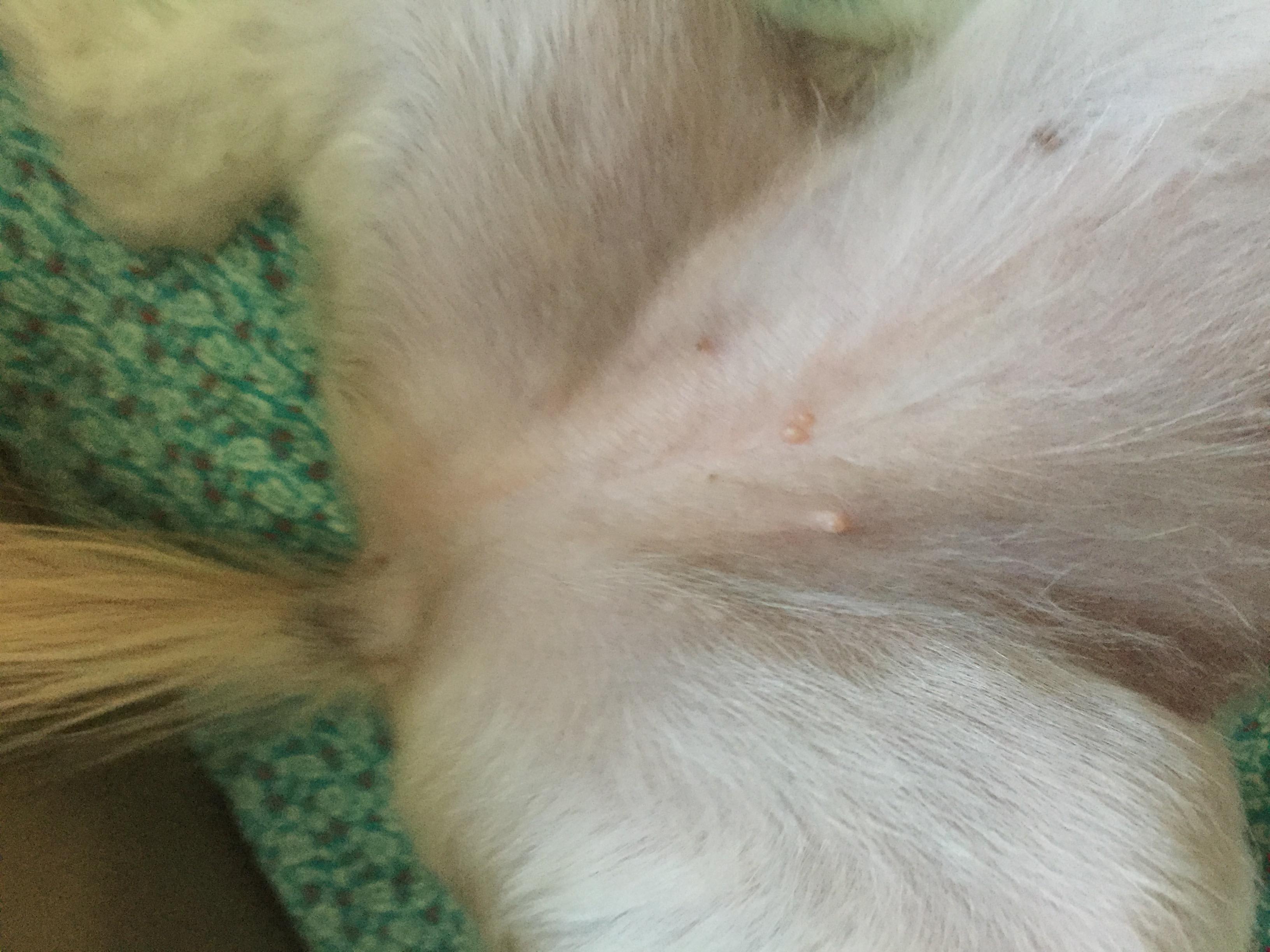
My dog has small pus-filled pimples on her tummy. Is it serious?

Updated On September 23rd, 2025

Pet's info: Dog | Yorkipoo | Female | unspayed | 9 months and 19 days old | 7 lbs

My dog has just a few small puss filled pimples on her lower tummy. They don't seem to be bothering her, but should I be worried?

This question includes photos that may contain sensitive content. Click to view.

View more to consider that the photos may include sensitive content.

3 Answers

Most Helpful Answer

Image profile

Answered By Robin Diers, DVM

Veterinarian

Published on July 20th, 2017

Hello there. Penny may have a skin infection. I recommend bathing her in an antibiotic and antifungal shampoo. I also recommend taking her to the veterinarian to help determine the cause of the pimples, which could be from allergies, scratches, bug bites, etc.

Vote icon

6Pet Parents found this answer helpful

Related Answers from Veterinarians

  • Image profile

    Answered By David Elbeze, DVM, MRCVS

    Veterinarian

    Published on August 10th, 2017

    This is probably due to a severe allergy, although it could also be fleas or mites. First of all, in order to rule out skin parasites, you will need to treat her with a high quality flea treatment (e.g. advantage), then get her to the vet to perform a skin scrape - this might reveal an infection or a mite infestation. If all of those came back negative, the next step is to treat the allergy symptomatically and try discovering the cause of the allergy. Some medications can be given by the vet in order to repair the skin lesions (steroids and antibiotics). simultaneously you should start her on a prescription hypoallergenic diet for at least 2 months. Hopefully you will see some results after all this, if not you and your vet should consider putting her on a long term allergy treatment (Atopica or Apoquel).

    Vote icon

    1Pet Parents found this answer helpful

  • Image profile

    Answered By David Elbeze, DVM, MRCVS

    Veterinarian

    Published on November 23rd, 2016

    This is probably due to a severe allergy, although it could also be fleas or mites. First of all, in order to rule out skin parasites, you will need to treat Pippa with a high quality flea treatment (e.g. advocate or advantage), then get her to the vet to perform a skin scrape - this might revile an infection or a mite infestation. If all of those came back negative, the next step is to treat the allergy symptomatically and try discovering the cause of the allergy. Some medications can be given by the vet in order to repair the skin lesions (steroids and antibiotics). simultaneously you should start her on a prescription hypoallergenic diet for at least 2 months. There is also a nice topical spray available if the problem remains on the belly only only, it's called Cortavance and you can get it at the vets.

    Vote icon

    1Pet Parents found this answer helpful

See More Answers
image
Have A Vet Question?

Book an appointment with the pros – our expert vets are here to help.

Sponsored