Petco Text Logo
Petco Pet Logo

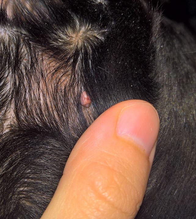
My dog has a pimple-like bump on his ear. What is it, exactly?

Updated On September 23rd, 2025

Pet's info: Dog | Mixed Breed Large (61lb +) | Male | neutered | 70 lbs

My dog has had this pimple like bump near his ear for a few weeks, what is it?

This question includes photos that may contain sensitive content. Click to view.

View more to consider that the photos may include sensitive content.

4 Answers

Most Helpful Answer

Image profile

Answered By Megan, DVM, CVA

Veterinarian

Published on July 13th, 2017

This looks like a benign adenoma, which is just a benign type of mass. Just watch it for now. If it is growing or bothering Pancho, then I would have your vet look at it. If it grows or changes, your vet will need to perform some diagnostic testing so that some of the cells in this mass can be evaluated under a microscope. These results will help to determine if it needs to be removed. I hope this helps!

Vote icon

42Pet Parents found this answer helpful

Other Answers

  • Image profile

    Answered By Angel Alvarado, LVT

    Licensed Veterinary Technician

    Published on February 27th, 2018

    It could be local irritation/inflammation, a cyst or a small mass. You can monitor it for rapid change or growth or you can have your veterinarian take a look. A fine needle aspirate can be performed in the clinic to easily collect samples for pathology. This may provide an answer. Once results are returned, you can discuss any treatment options with your vet. If Charlie is scratching or rubbing at it, place an e-collar (cone) on him to prevent trauma until he sees the doctor.

    Vote icon

    3Pet Parents found this answer helpful

  • Image profile

    Answered By Linda G, MS, DVM

    Veterinarian

    Published on August 6th, 2018

    Hello. There is no way to know what this is by just a picture, but it does not look particularly dangerous or malignant. Very benign lumps & bumps show up all the time on our pets. If it is not bothering Kanye, please just leave it alone until the next time you see your vet. Your vet will decide if this is important enough to remove or leave it alone. Thanks for using Petco Pet Education Center, formerly Petcoach.

    Vote icon

    3Pet Parents found this answer helpful

  • Image profile

    Answered By Jessica Keay, DVM

    Veterinarian

    Published on July 18th, 2019

    I am sorry to hear about your concern for Nasinka. Unfortunately this picture is blurry so I cannot really see what is going on. A spot that looks like a pimple could be a small area of bacterial infection called a pustule, or could be a growth on the skin. I would clean the area with a mild soap and monitor it over the next week. If it begins to enlarge, becomes painful/red/swollen, or more spots develop a visit to the vet is needed; or if the area does not go away on its own in a couple weeks she should see her vet.

    Vote icon

    1Pet Parents found this answer helpful

See More Answers
image
Have A Vet Question?

Book an appointment with the pros – our expert vets are here to help.

Sponsored