Petco Text Logo
Petco Pet Logo

Why does my dog have itchy skin, sores, and allergies? Is it yeast?

Updated On September 23rd, 2025

Pet's info: Dog | Golden Retriever | Male | unneutered | 11 months and 22 days old | 75 lbs

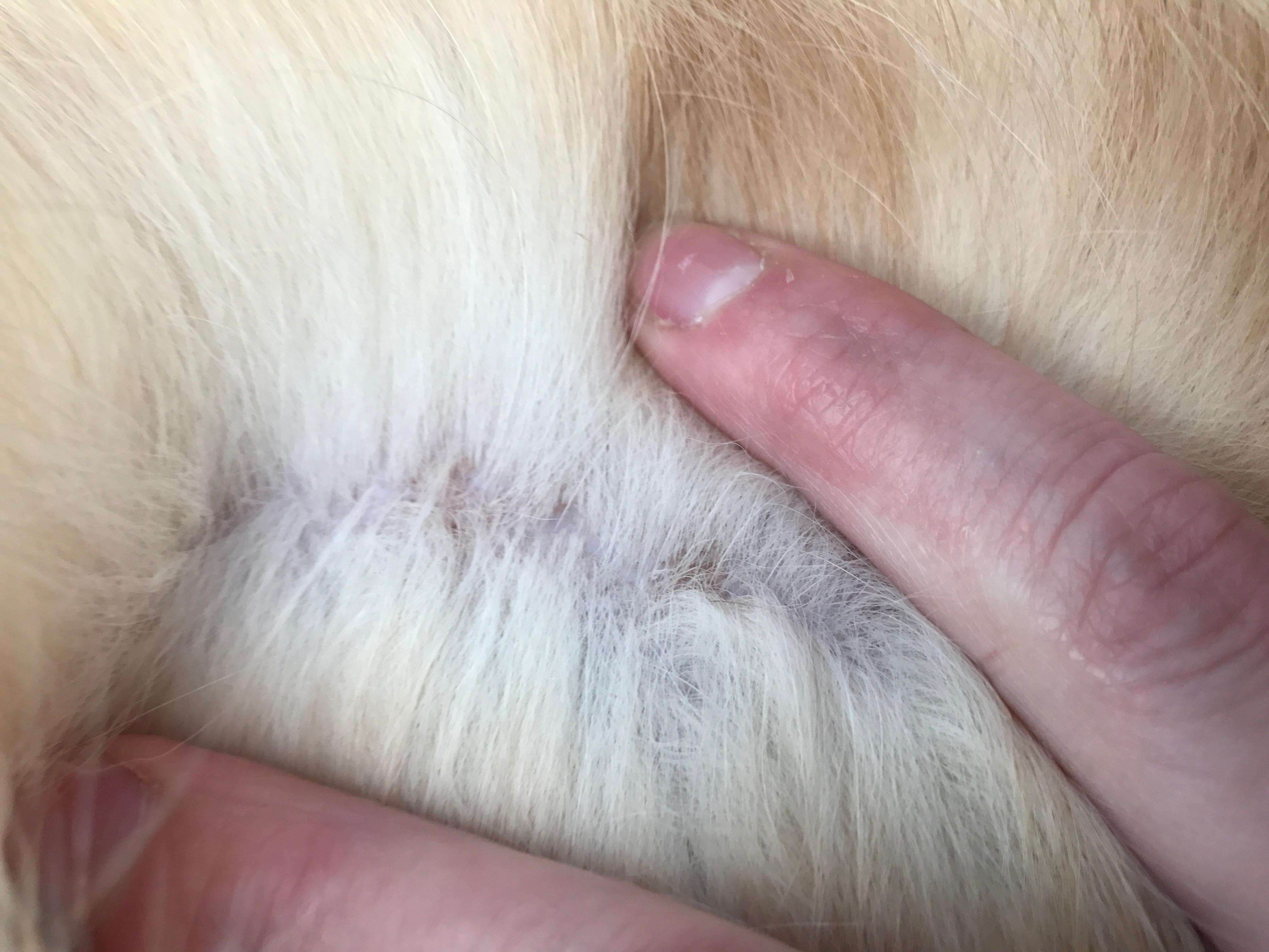
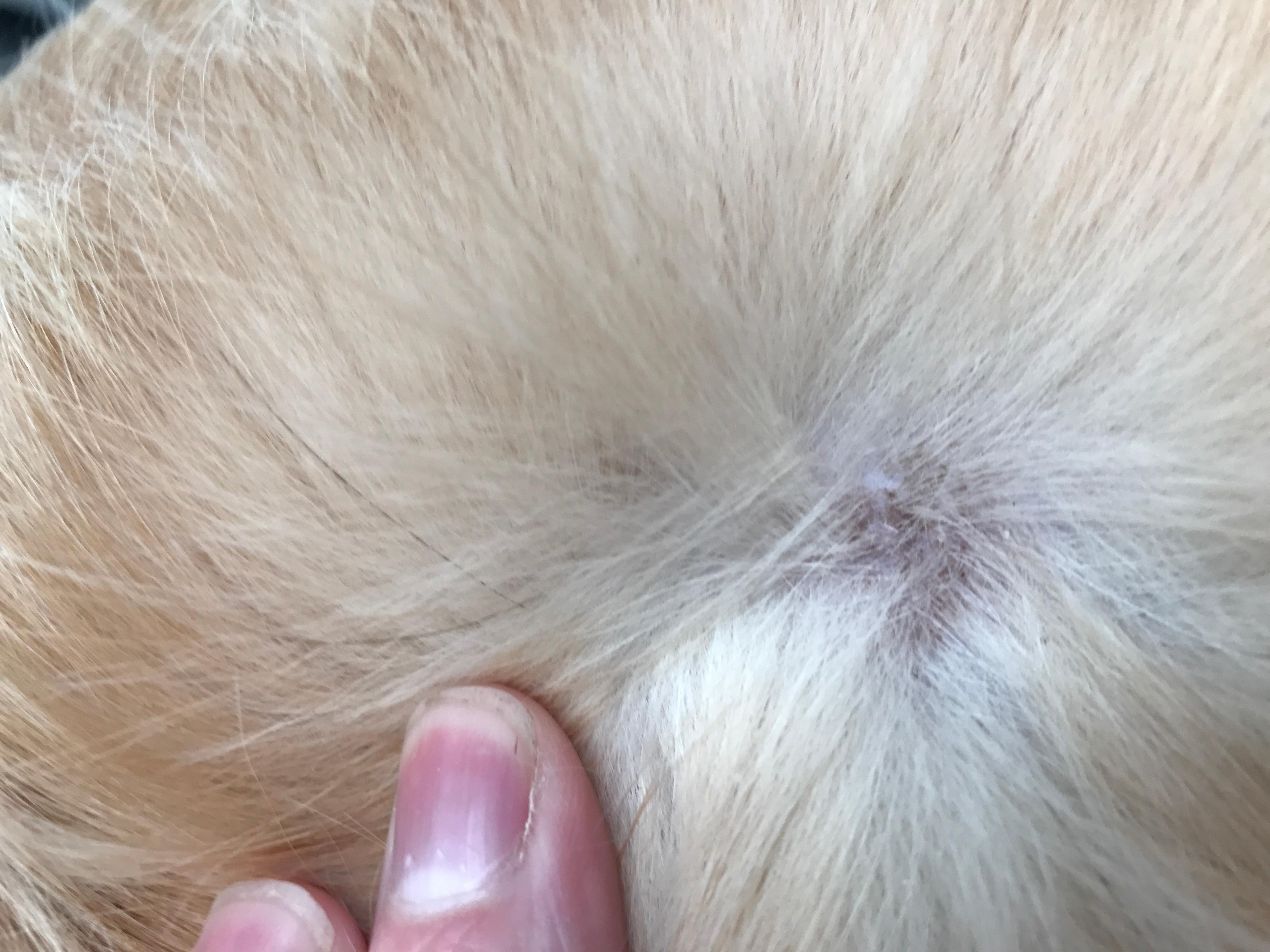
Male, golden retriever with allergies..has sores on his back, legs, etc., dry & itchy skin...gets cytopoint injections monthly, takes flea pill, spectrum & vaccinated against Lyme. Hylyt or mane/tail used. Tried tea tree/chamomile spray, added to bath water. He is a service dog in training and gets very dirty so he bathes weekly...eek. Is this yeast???

This question includes photos that may contain sensitive content. Click to view.

View more to consider that the photos may include sensitive content.

1 Answer

Most Helpful Answer

Image profile

Answered By Jessica Keay, DVM

Veterinarian

Published on July 4th, 2017

It is possible we could have yeast or bacteria here. The only way to tell for certain is to do what is called a cytology on the area. Your vet can take a sample (they may use a piece of tape or press a microscope slide directly on the skin) and look at it under the microscope. They can then determine if we have infection present and treat appropriately.

Vote icon

1Pet Parents found this answer helpful

image
Have A Vet Question?

Book an appointment with the pros – our expert vets are here to help.

Sponsored