Petco Text Logo
Petco Pet Logo

My 4-year-old Pinscher suddenly can't use her back leg. What's wrong?

Updated On September 23rd, 2025

Pet's info: Dog | German Pinscher | Female | unspayed | 4 years and 7 months old | 9 lbs

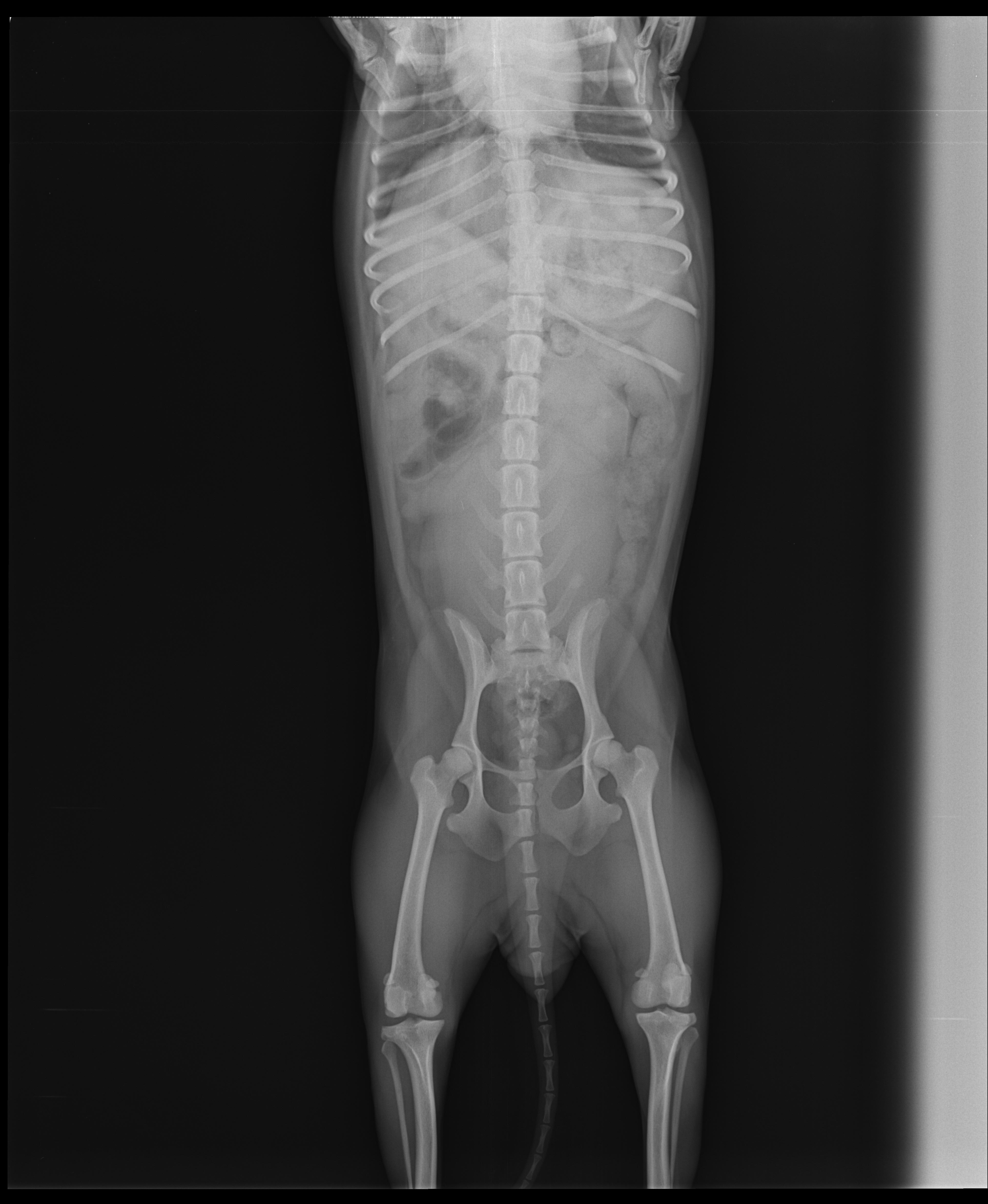
4 years old female Pinscher. Since two days, she hasn't use rear left leg. Its happen suddenly. Our vet start to vitamin B, pain killer and cortisone. Also her appetite is fine. If you wish, i can sent the videos of her.

This question includes photos that may contain sensitive content. Click to view.

View more to consider that the photos may include sensitive content.

1 Answer

Most Helpful Answer

Image profile

Answered By David Elbeze, DVM, MRCVS

Veterinarian

Published on June 28th, 2017

As there is no fractures, it's likely to be either a knee cap injury (patelar luxation) or a ligament condition (cruciate ligament tare). you should have the xrays sent to a radiology or orthopedic specialist, she will probably need to have a surgery done on that leg.

Vote icon

1Pet Parents found this answer helpful

image
Have A Vet Question?

Book an appointment with the pros – our expert vets are here to help.

Sponsored