Petco Text Logo
Petco Pet Logo

What are these red bumps on my dog's skin and why is fur falling out?

Updated On September 23rd, 2025

Pet's info: Dog | Chihuahua | Female | spayed | 6 years and 11 months old | 9.6 lbs

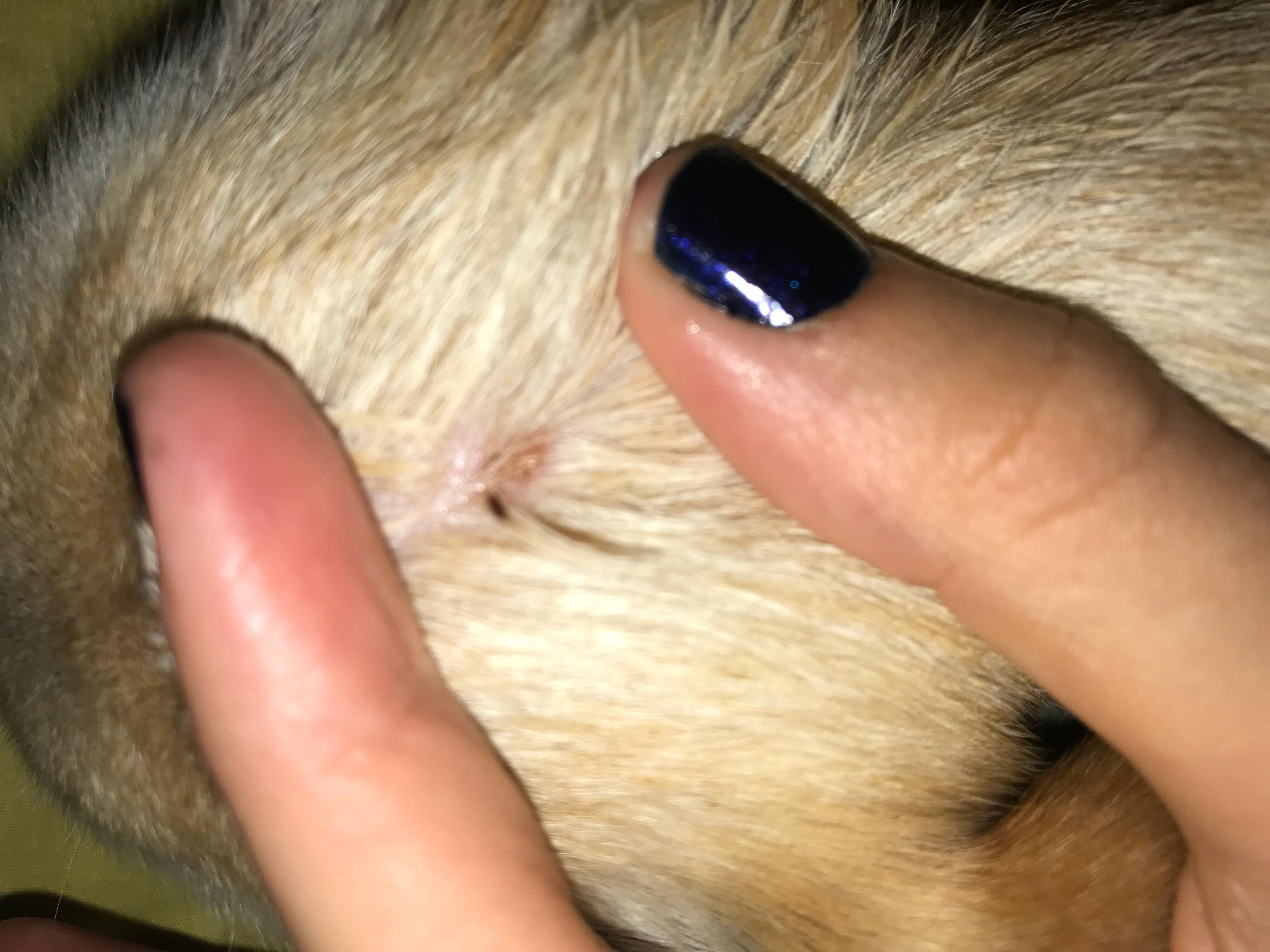
I have a Chihuahua, her name is Charlotte and she will be 7 years old tomorrow. Just yesterday I noticed that she has weird red bumps. 2 on her tummy, one on each front paw, and 3 on her head and neck area. Her fur also fell out near the 3 bumps by her head. I am very worried. -Caelan

This question includes photos that may contain sensitive content. Click to view.

View more to consider that the photos may include sensitive content.

1 Answer

Most Helpful Answer

Image profile

Answered By Emily, DVM

Veterinarian

Published on June 21st, 2017

Charlotte could have a bacterial infection of her skin. Some cases respond to a topical treatment like a medicated pet shampoo but others need antibiotics. If you try the bath and her skin isn't better in a couple of days, or new lesions show up, then Charlotte needs to get seen by her veterinarian

Vote icon

1Pet Parents found this answer helpful

image
Have A Vet Question?

Book an appointment with the pros – our expert vets are here to help.

Sponsored