Petco Text Logo
Petco Pet Logo

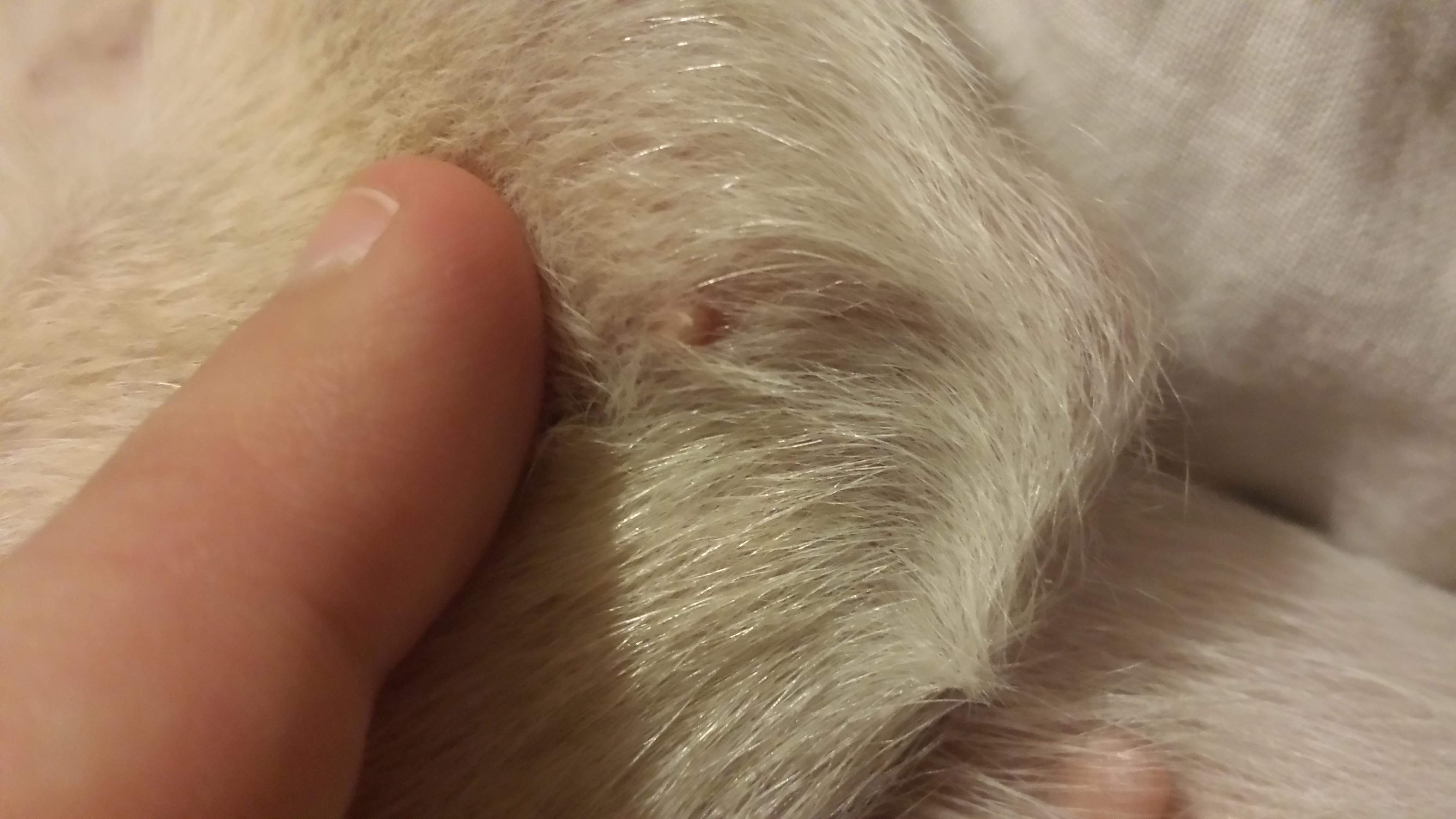
My dog has a pimple-like bump on her leg near the elbow. What is it?

Updated On September 23rd, 2025

Pet's info: Dog | Mixed Breed Small (up to 22lb) | Female | unspayed | 6 years and 5 months old

My dog has a small white pimple like bump on her leg, about right where the elbow is. What could it be?

This question includes photos that may contain sensitive content. Click to view.

View more to consider that the photos may include sensitive content.

2 Answers

Most Helpful Answer

Image profile

Answered By Emily, DVM

Veterinarian

Published on June 19th, 2017

This could be an mildly infected gland, a cyst or even a benign skin tumor like an adenoma. You could monitor it for any change in size, color, or any discharge or pain. If it has any of those changes Rose needs to get checked out by her veterinarian. I would not apply any ointment to it at this time.

Vote icon

5Pet Parents found this answer helpful

Other Answers

  • Image profile

    Answered By Ricardo Fernandez, DVM

    Veterinarian, Veterinary Oncology Resident

    Published on December 9th, 2018

    Thanks for using Petco Pet Education Center, formerly Petcoach! This could be a benign or malignant growth. This may even be an abscess. There is no way of knowing for sure without an examination though this represents a reason to seek veterinary care. This is usually determined with an examination and a fine needle aspirate (FNA) or a biopsy. Treatment depends on the findings up to that point. I recommend you have Dynasty evaluated by a veterinarian for further assessment and treatment. Good luck and have a good night!

    Vote icon

    1Pet Parents found this answer helpful

See More Answers
image
Have A Vet Question?

Book an appointment with the pros – our expert vets are here to help.

Sponsored