Petco Text Logo
Petco Pet Logo

What can I do for my dog's skin infection or dry, itchy skin?

Updated On September 23rd, 2025

Pet's info: Dog | Mixed Breed Medium (23 - 60lb) | Male | 4 years old | 40 lbs

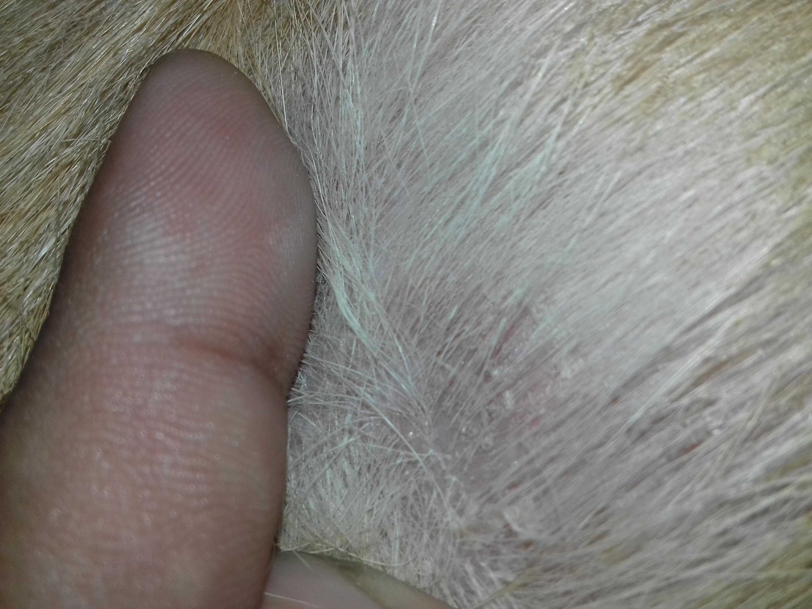
Wich medicine for this skin infection?

This question includes photos that may contain sensitive content. Click to view.

View more to consider that the photos may include sensitive content.

2 Answers

Most Helpful Answer

Image profile

Answered By Destini R. Holloway, DVM

Veterinarian

Published on June 17th, 2017

It's hard to say based on just a photo of the skin. Some samples (cytology) should be taken of the skin cells through your vet first. Based on what is found, we can then select the appropriate treatment for this. Whether that is an antibiotic, antifungal, anti-inflammatory, or even steroid is totally dependent on the results of that skin test. In the meantime you can try giving Jack pet formulated fish oils from your local pet store to help combat any inflammation of the skin. Also a good high quality dog food (i.e. Royal Canin, hills science diet, Innova, etc) is best to promote a healthy skin and haircoat. The Duoxo shampoo's are also a good topical treatment for dry skin in dogs. Best of luck with your pet Jack and his dry skin.

Vote icon

1Pet Parents found this answer helpful

Other Answers

  • Image profile

    Answered By Angel Alvarado, LVT

    Licensed Veterinary Technician

    Published on

    Legally, we are prohibited from recommending medications or providing dosing information in the absence of a physical exam and a patient-veterinarian-client relationship. You would need to have Jack examined by your veterinarian to diagnose the condition. Once that has been done, your veterinarian can dispense or prescribe the appropriate medication based on the diagnosis.

    Vote icon

    0Pet Parents found this answer helpful

See More Answers
image
Have A Vet Question?

Book an appointment with the pros – our expert vets are here to help.

Sponsored