Petco Text Logo
Petco Pet Logo

My puppy has hip dysplasia. Can I sue the breeder for this condition?

Updated On September 23rd, 2025

Pet's info: Dog | Poodle | Female | spayed | 10 months and 26 days old | 154 lbs

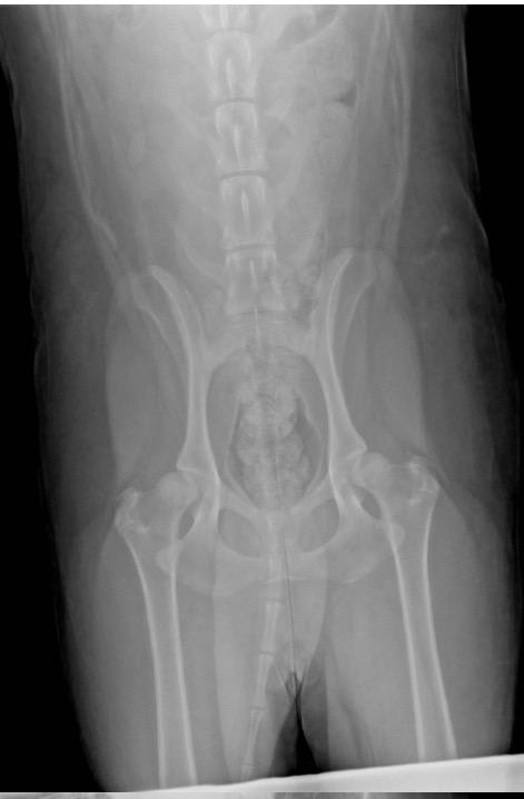
10mth old standard poodle. Already has developed hip dysplasia. Can I sue the breeders? Three vets saying she needs TPO. Breeders gave oral statement that no HD in their line. Should have gotten proffered of the two tests but...... They have a cease and desist order now against me (because I txted them and told them I'd sent the info THEY requested to their vet). Sounds shady. I know one other girl that got a Labradoodle from same sire as mine and vet said 95% will have HD. PLEASE ANYSUGGESTION.

This question includes photos that may contain sensitive content. Click to view.

View more to consider that the photos may include sensitive content.

1 Answer

Most Helpful Answer

Image profile

Answered By Emily, DVM

Veterinarian

Published on June 7th, 2017

I recommend having a lawyer familiar with contracts review the sellers contract/statement and giving you their opinion if you have a case. The law varies from state to state as well as veterinarian's are usually only present to state the medical facts, not the contract legalities.

Vote icon

1Pet Parents found this answer helpful

image
Have A Vet Question?

Book an appointment with the pros – our expert vets are here to help.

Sponsored