Petco Text Logo
Petco Pet Logo

My dog might have fleas or lice. How do I treat the infestation?

Updated On September 23rd, 2025

Pet's info: Dog | Mixed Breed Small (up to 22lb) | Male | neutered | 1 year and 5 months old | 6.5 lbs

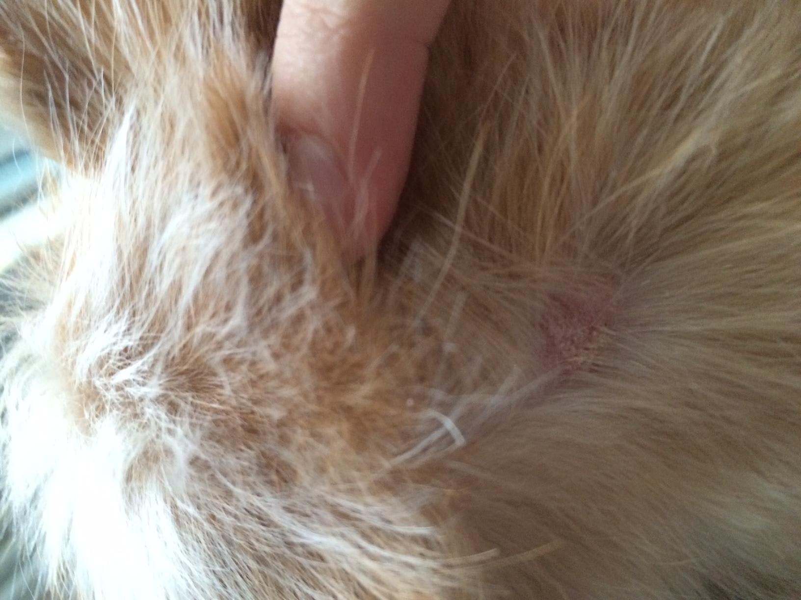
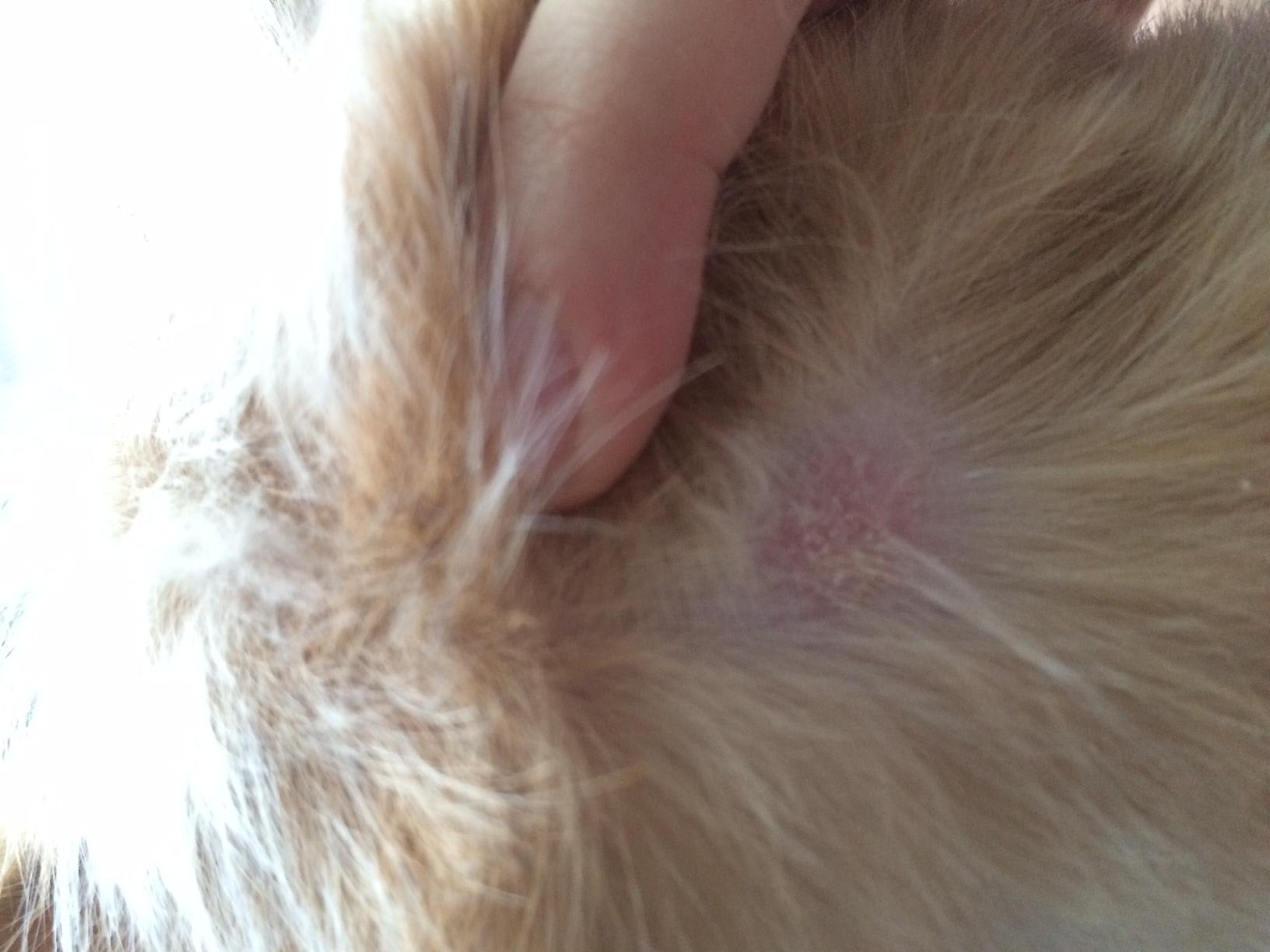
I think my dog has a lice or flea infestation but I'm not completely sure. What do I do about the adult lice(or fleas) and the eggs that are embedded in his skin? Help!

This question includes photos that may contain sensitive content. Click to view.

View more to consider that the photos may include sensitive content.

1 Answer

Most Helpful Answer

Image profile

Answered By Destini R. Holloway, DVM

Veterinarian

Published on May 6th, 2017

Poor Winnie! We have to get rid of these pesky pests once and for all. I would recommend putting Winnie on either Advantage or Revolutionti rid he lice and fleas. Make sure to continue to give the medicaiton every 2 weeks until the lice/fleas are gone. Here is a website link that also goes through more tips on how to tell if your pet is infected with lice and more information if needed. Best of luck! http://www.vet.bc.ca/lice.pml

Vote icon

4Pet Parents found this answer helpful

image
Have A Vet Question?

Book an appointment with the pros – our expert vets are here to help.

Sponsored